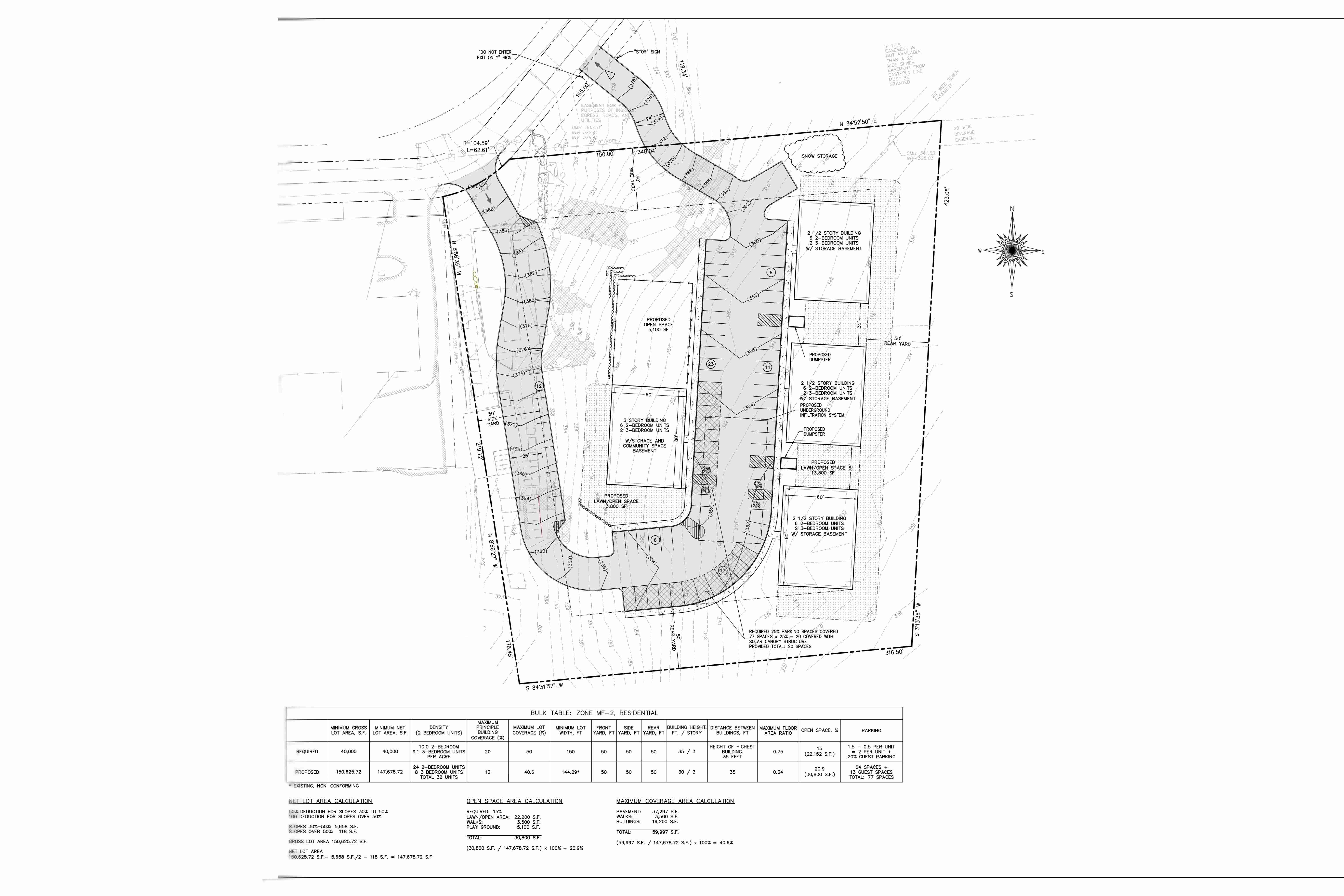
project overview
This proposed 32-unit rental development is thoughtfully designed to prioritize community, open space, and long-term sustainability. Situated on 3.45 acres, the project will provide a balanced mix of free-market and affordable residential units, creating much-needed housing while enhancing the surrounding neighborhood. The development will feature shared community amenities, including a fitness center, outdoor park, playground, and walking paths, all integrated into a landscape that encourages connection and active living. Sustainability is a core focus, with green-energy initiatives such as solar-equipped roofs designed to reduce environmental impact and support a more resilient future.
.jpg)